See all 6 photos
$409,725
Est. payment /mo
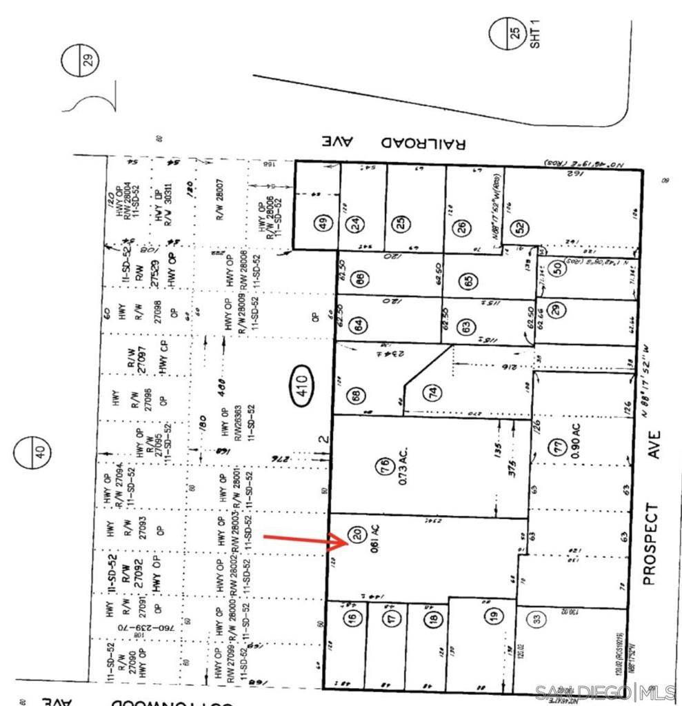
0.61 Acres Lot
New
0 Prospect Ave Santee, CA 92071
REQUEST A TOUR If you would like to see this home without being there in person, select the "Virtual Tour" option and your agent will contact you to discuss available opportunities.
In-PersonVirtual Tour

UPDATED:
Key Details
Property Type Commercial
Listing Status Active
Purchase Type For Sale
MLS Listing ID 250044061SD
HOA Y/N No
Annual Tax Amount $16,065
Lot Size 0.610 Acres
Property Description
**Prime Commercial Land Opportunity in San Diego County** Discover a rare investment opportunity in San Diego County! We present two commercial parcels, each with a potential high cap rate for land development. The FAA has a preliminary approval approved for storage/equipment parking use on these vacant lots, totaling 1.34 acres. **Key Features:** - Parcel 1 (APN 384-410-76-00): 31,798 sq. ft. - Parcel 2 (APN 3385-410-20-00): 26,571 sq. ft. - FAA Preliminary Approval for Storage Use - Gillespie Field Overlay Zone - Light Industrial Zoning - Triple Net Lease Option: $8,500 for both parcels - Individual Parcel Lease Rates: $3,719 (Parcel 1) and $4,451 (Parcel 2) - Convenient Ingress and Egress on West Side (East May be Availble) **Additional Information:** - The adjacent parcel, grandfathered for two single-family residences, may be available for sale. Call the Agent for details and/or to submit an offer. - Located in the Gillespie Field Compatibility Zone, ensuring strategic development. - Check the Gillespie Community Land Use Plan (Page 32), and Gillespie Field Compatibility Plan (Pages 71-72, 107-112) for detailed zoning insights. **Sales Details:** - Total Sales Price: $1,395,000 - Acreage: 1.34 acres (58,369 sq. ft.) **Important Notes:** - No structures can be built under the Gillespie Community Land Use Plan and avigation easement on this particular property. - Verify all information with the FAA, the County of San Diego, and the city of Santee for approvals.
Location
State CA
County San Diego
Area 92071 - Santee
Zoning R-1:SINGLE
Interior
Fireplace No
Exterior
View Y/N No
Present Use Commercial,Industrial,Recreational,Unimproved
Building
Lot Description Level
Others
Tax ID 3844102000
Virtual Tour https://www.propertypanorama.com/instaview/snd/240000285

Listed by AJ George AJGCRE
GET MORE INFORMATION

QUICK SEARCH




